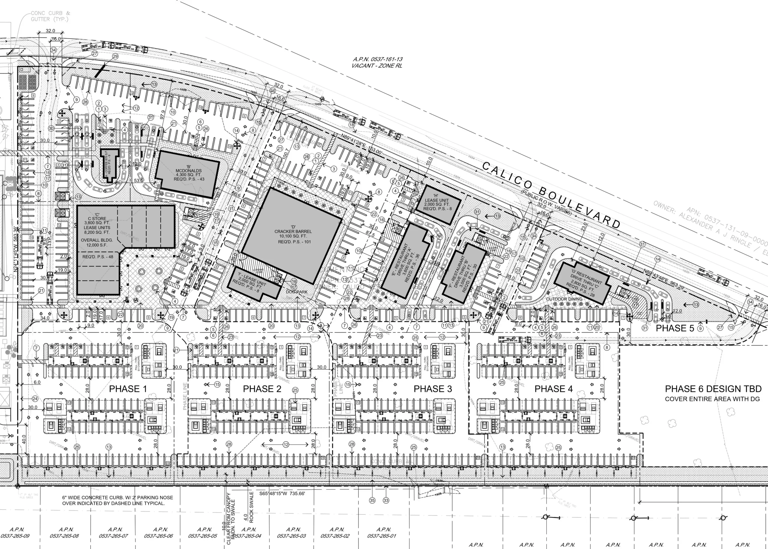
Tesla is preparing a new Supercharger site in Yermo, California, that is set to become its largest charging hub so far. The plan calls for3 more than 400 V4 charging stalls built in six phases, with work on the first stage expected to start in 2026.
This small desert town sits along Interstate 15 between Los Angeles and Las Vegas, and the route often gets clogged on holiday weekends. So long queues at chargers are common on that stretch, and Tesla appears to be planning for heavy demand on that corridor in the years ahead.
Location and current capacity
The new station will be built by the existing Eddie World Supercharger location in Yermo. That site has 22 V2 and V3 stalls, which are limited to around 150 kW and can back up when traffic spikes.

In the wider area, there is already a dense cluster of high‑power charging. Within about 20 miles, drivers can find more than 200 fast‑charging stalls, including around 120 Tesla stalls at up to 325 kW in Barstow and close to 96 in Baker. Yet peak travel periods still strain that network, and drivers sometimes face delays.

How the six phases are planned
Tesla and the landowner outline six phases for the Yermo expansion. Phase 1 is expected to bring 72 V4 stalls along Calico Boulevard, creating a long line of chargers that border the property.
Later phases would extend the layout and add more rows of parking and charging, and the plan is to reach more than 400 stalls in total when all six stages are finished. Phase 6 has less detail in public records, yet filings indicate that the long‑term target is a buildout past the 400‑stall mark, subject to permits and demand patterns.
The Yermo project is centered on V4 Supercharger hardware. These units are rated up to 500 kW and can deliver full output to 800‑volt vehicles such as Cybertruck, according to company material and independent teardowns. For 400‑volt vehicles like most current Tesla models, peak rates stay around 250 kW, similar to V3, but cabinet and stall design are updated.
Each V4 cabinet can support up to eight stalls, which lets Tesla deploy large sites with fewer cabinets on the ground. And cable reach has been improved, so it is easier for non‑Tesla EVs with different charge port locations to use the stalls where access is open.
Site plans also include pull‑through bays. Those are laid out for pickups with trailers and for future Tesla Semi use, and they are intended to avoid the need to unhitch while charging.
Services around the charging hub
The project is listed as “Eddie World 2” in filings and is planned as more than a parking lot with chargers. Architects have drawn up multiple buildings and food options around the site, creating a highway stop where drivers can spend the charging time on basic needs.
Documents outline a Cracker Barrel restaurant of about 10,100 square feet, a McDonald’s of around 4,300 square feet, and a convenience store near 3,800 square feet. Other restaurant units, drive‑through lanes and outdoor seating appear in the site layouts.
Energy storage and on‑site electrical equipment are also part of the plan. Yet public filings so far do not spell out full details on solar capacity or Megapacks for this location, and have not confirmed whether it will match the full off‑grid design used at some other Tesla hubs.
How it stacks up against Lost Hills
Today, the biggest known Tesla Supercharger site is in Lost Hills, California, sometimes called “Project Oasis.” That location has 164 stalls and is backed by an 11 MW solar array and 10 Megapacks for energy storage.
If Yermo reaches its planned size, the station would more than double that stall count and become the largest single Supercharger installation so far.
Tesla reported more than 75,000 Supercharger stalls worldwide across nearly 8,000 stations by late 2025. In the third quarter of 2025, the company added around 4,000 stalls, which was a record quarter for Supercharger growth.
EV adoption is still climbing, Tesla has started to open part of its network to other brands in some markets, and the company is preparing for possible Robotaxi traffic and more frequent Tesla Semi freight runs. On a major route such as Los Angeles to Las Vegas, a 400‑stall hub lines up with that long‑term outlook.
If Tesla follows through on all six phases, Yermo’s Eddie World 2 could become one of the clearest signs yet that high‑volume EV travel on U.S. highways is moving into a new stage.
You may also like:
- Tesla quietly brings 3D Supercharger Site Maps to Europe with 2026.2 »
- Tesla rolls out new prepaid Supercharger Cards »
- Tesla Supercharger network delivers record 6.7 TWh in 2025 »

